UFFICI IN TRENTO
Consulenti in Aste e Fallimenti Immobiliari con Licenza 115 TULPS & Studio Tributaristi (A.N.CO.T.) Sartori dott. Luca iscriz. n°4806 :
Sei interessato all’immobile? Scopri subito tutti i dettagli! Ti possiamo fornire la documentazione relativa alle ipoteche, al pignoramento, al legale che ha avviato la procedura esecutiva di vendita forzata, alla banca, alla cessionaria o al privato che ha avviato l’esecuzione.
SOCIETA’ AUTORIZZATA A SVOLGERE LE ATTIVITA’ INDICATE DAL MINISTERO DELL’INTERNO E DALLE LEGGI DI PUBBLICA SICUREZZA – LICENZA 115 T.U.L.P.S CIRCOLARE NR 557/PAS 6909 DEL 10/01/11
NB : Operiamo anche nella gestione di sofferenze bancarie, che consentono di accedere ad operazioni immobiliari con acquisto di posizioni garantite da immobili anche al 40–50% in meno rispetto al reale valore di mercato. Info riservate in ufficio.
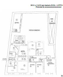
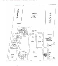
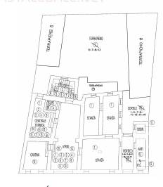
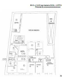
DESCRIZIONE IMMOBILE:
Intero edificio indipendente da ristrutturare, sviluppato su cinque livelli e con accesso dal cortile interno comune di un palazzo storico residenziale. L’edificio risulta così composto: a piano terra terrapieno; a primo piano cucina, stanza, w.c. vano scala; a secondo piano due stanze, wc e vano scala; soffitta a piano terzo, a piano tetto, tetto. Completano la proprietà una quota della p.m.13 identificata dal porticato, dalla scala e dal sottoscala a primo piano, nonché dal poggiolo e dalla scala a piano secondo, come indicativamente proposto nella bozza di variante al piano di casa materialmente divisa predisposta dall’esperto e riportata alle pagg. 6 e seguenti della relazione di stima. In comune a piano terra portico, cortile, atrio, vano centrale termica, vano scala e a primo piano altro cortile.
Ref. Immobile: Ref. Custode Giudiziario
NB: Operiamo anche nella gestione di sofferenze bancarie, che consentono di accedere ad operazioni immobiliari con acquisto di posizioni garantite da immobili anche al 40–50% in meno rispetto al reale valore di mercato. Info riservate in ufficio.